- Foro
- Foros sobre Micología de fungipedia
- Microscopía
- Otros tantos de la recogida de muestras del 17 de septiembre.
Otros tantos de la recogida de muestras del 17 de septiembre.
- JOSEP
-
Autor del tema
- Fuera de línea
- Moderador
-
Menos
Más
- Mensajes: 8726
- Gracias recibidas: 8378
5 meses 1 semana antes #110666
por JOSEP
Hola.
Lo muy poco que dio de si la recogida de muestras del pasado 17 de septiembre, en los alrededores de mi ciudad, en soto fluvial y a las orillas del rio Segre.
El primero un yesquero, con un aspecto que para nada hace sospechar de la especie, el Inonotus hispidus, su determinación la he hecho en base a la microscopía, su sistema hifal monomítico sin fíbulas, la ausencia de setas himeniales y a la morfología y medidas esporales.
Superficie poroide a 20 aumentos:
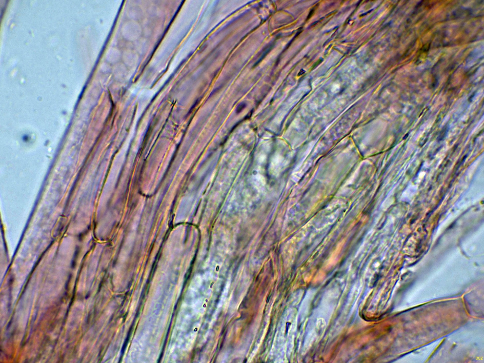
Hifas de la suprapellis en agua a 400 aumentos:
Hifas de la suprapellis en agua a 1000 aumentos:
Elementos terminales del himenio en solución de Rojo Congo:
No pude observar basidios.
Unas esporas libres en solución de Rojo Congo:
Unas esporas libres en solución de amoníaco:
Estas esporas libres con unas medidas de:
(8.9) 9.4 - 11 (11.5) × (6) 6.8 - 8.3 (8.6) µm
Q = (1.1) 1.2 - 1.5 (1.8) ; N = 28
Me = 10.2 × 7.6 µm ; Qe = 1.4
Para poder comparar, añado una imágen mía de la especie con su sombrero toscamente hirsuto, tomada sobre árbol vivo en mi ciudad, de noviembre de 2016:
Seguimos con un Inocybe, actualmente Pseudosperma, muy cercano a la Inocybe rimosa, y durante cierto tiempo considerado como una simple variedad de esta, a día de hoy con taxón propio, como principales diferencias entre ambas, a destacar la ausencia total de olor y las menores medidas esporales, la Inocybe obsoleta = Pseudosperma obsoletum.
Los ejemplares brotando de manera dispersa pero muy abundante allá por el suelo donde pisaba:
Las hifas de la suprapellis a 400 aumentos:
La suprapellis a 1000 aumentos:
Los caulocistidios de la parte alta del pie:
Los caulocistidios de la parte media:
Los queilocistidios:
Sin pleurocistidios observados.
Los basidios:
Y las esporas en agua:
Estas esporas obtenidas por esporulación natural y en agua con unas medidas de:
(6.9) 8.2 - 10.1 (10.5) × (5.2) 5.4 - 6.4 (6.5) µm
Q = (1.3) 1.4 - 1.6 (1.7) ; N = 30
Me = 8.9 × 5.9 µm ; Qe = 1.5
Seguimos.............................................
Lo muy poco que dio de si la recogida de muestras del pasado 17 de septiembre, en los alrededores de mi ciudad, en soto fluvial y a las orillas del rio Segre.
El primero un yesquero, con un aspecto que para nada hace sospechar de la especie, el Inonotus hispidus, su determinación la he hecho en base a la microscopía, su sistema hifal monomítico sin fíbulas, la ausencia de setas himeniales y a la morfología y medidas esporales.
Superficie poroide a 20 aumentos:
Hifas de la suprapellis en agua a 400 aumentos:
Hifas de la suprapellis en agua a 1000 aumentos:
Elementos terminales del himenio en solución de Rojo Congo:
No pude observar basidios.
Unas esporas libres en solución de Rojo Congo:
Unas esporas libres en solución de amoníaco:
Estas esporas libres con unas medidas de:
(8.9) 9.4 - 11 (11.5) × (6) 6.8 - 8.3 (8.6) µm
Q = (1.1) 1.2 - 1.5 (1.8) ; N = 28
Me = 10.2 × 7.6 µm ; Qe = 1.4
Para poder comparar, añado una imágen mía de la especie con su sombrero toscamente hirsuto, tomada sobre árbol vivo en mi ciudad, de noviembre de 2016:
Seguimos con un Inocybe, actualmente Pseudosperma, muy cercano a la Inocybe rimosa, y durante cierto tiempo considerado como una simple variedad de esta, a día de hoy con taxón propio, como principales diferencias entre ambas, a destacar la ausencia total de olor y las menores medidas esporales, la Inocybe obsoleta = Pseudosperma obsoletum.
Los ejemplares brotando de manera dispersa pero muy abundante allá por el suelo donde pisaba:
Las hifas de la suprapellis a 400 aumentos:
La suprapellis a 1000 aumentos:
Los caulocistidios de la parte alta del pie:
Los caulocistidios de la parte media:
Los queilocistidios:
Sin pleurocistidios observados.
Los basidios:
Y las esporas en agua:
Estas esporas obtenidas por esporulación natural y en agua con unas medidas de:
(6.9) 8.2 - 10.1 (10.5) × (5.2) 5.4 - 6.4 (6.5) µm
Q = (1.3) 1.4 - 1.6 (1.7) ; N = 30
Me = 8.9 × 5.9 µm ; Qe = 1.5
Seguimos.............................................
Adjuntos:
Por favor, Identificarse o Crear cuenta para unirse a la conversación.
- JOSEP
-
Autor del tema
- Fuera de línea
- Moderador
-
Menos
Más
- Mensajes: 8726
- Gracias recibidas: 8378
5 meses 1 semana antes #110667
por JOSEP
Respuesta de JOSEP sobre el tema Otros tantos de la recogida de muestras del 17 de septiembre.
Una especie que si bien no se considera abundante, siempre la veo por las orillas del rio, en esta ocasión saprofitaba una muy buena cantidad de tocones, parece ser que se está extendiendo por toda la zona, el Lentinus tigrinus:
Las hifas de la suprapellis en agua:
Arista laminar sin elementos diferenciados de los basidios o basidiolos:
Los basidios de la cara laminar:
Y las esporas en agua:
Estas esporas obtenidas por esporulación natural y en agua con unas medidas de:
(6.4) 6.6 - 8.1 (8.4) × (2.8) 3.2 - 3.7 (3.9) µm
Q = (1.8) 1.9 - 2.4 (2.5) ; N = 30
Me = 7.4 × 3.4 µm ; Qe = 2.2
Para terminar con los hongos una Antrodia, llevo muchos años estudiando a la que aparece por la zona y aún disponiendo de los datos moleculares, a día de hoy no tengo del todo clara su identidad, aunque todo apunta a la Antrodia pulvinascens, actualmente denominada como Fomitopsis pulvinascens:
Superficie poroide a 20 aumentos:
Las hifas subiculares en solución de Rojo Congo:
Las hifas subiculares en solución de KOH:
Las hifas subiculares en Reactivo de Melzer:
Siempre me ha costado dentro del género Antrodia el poder observar claramente las fíbulas en sus hifas generativas, añado unas imágenes de estas fíbulas en Reactivo de Melzer:
Una hifa fibulada y los basidios en solución de KOH:
Los basidios en solución de Rojo Congo, estos basidios con unas medidas de (11.1) 11.4 - 15.1 (16.7) × (4.7) 5 - 5.8 (5.9) µm:
Las esporas en Reactivo de Melzer, inamiloides:
Y las esporas en agua:
Estas esporas obtenidas por esporulación natural y en agua con unas medidas de:
(6.2) 6.5 - 7.6 (8.1) × (2.4) 2.7 - 3.3 (3.6) µm
Q = (2.1) 2.2 - 2.67 (2.7) ; N = 30
Me = 7.1 × 3 µm ; Qe = 2.4
Añado a continuación el árbol filogenético:
En el árbol, mi Antrodia, la Antrodia JTP 2405/25 se encuentra muy cerca a nivel molecular tanto a la Antrodia pulvinascens = Fomitopsis pulvinascens como con la Antrodia hyalina = Fomitopsis hyalina, teniendo en cuenta que las dos secuencias dentro del recuadro, la JQ700285.1 y la JQ700284.1 que aparecen como Antrodia sp., actualmente su nombre científico sería el de Fomitopsis hyalina.
Aquí es cuando ya busco información dentro del trabajo de Ryvarden de 2017, las medidas de los basidios de mi propuesta encajan mejor con las indicadas por Ryvarden para la Antrodia hyalina a la que otorga unas medidas para sus basidios de 11 -20 x 4.5-6 μm, muy cerca de mis mediciones de (11.1) 11.4 - 15.1 (16.7) × (4.7) 5 - 5.8 (5.9) μm., y un poco alejadas de las medidas que el mismo autor cita para los basidios de la Antrodia pulvinascens, con unas medidas de 19-27 x 5-7 μm, no obstante las medidas esporales de mi propuesta de (6.2) 6.5 - 7.6 (8.1) × (2.4) 2.7 - 3.3 (3.6) µm., se encuentran más cerca de las indicadas por Ryvarden para la Antrodia pulvinascens de 6-8 x 2.5-3.2 μm, y un poco alejadas de las indicadas por el mismo autor para la Antrodia hyalina a la que otorga unas medidas esporales de 5-9 x 2-3 μm, con un cociente Q muy por encima de mi propuesta.
Para relajar un poco el tema añado unas imágenes de la fauna que pude ver el mismo día, por un lado la babosa leopardo ( Limax maximus).
Y por otro el siempre desafiante y amenazante cangrejo invasor de Louisiana, que está acabando con los cangrejos autóctonos, el Procambus clarkii:
Saludos.
Las hifas de la suprapellis en agua:
Arista laminar sin elementos diferenciados de los basidios o basidiolos:
Los basidios de la cara laminar:
Y las esporas en agua:
Estas esporas obtenidas por esporulación natural y en agua con unas medidas de:
(6.4) 6.6 - 8.1 (8.4) × (2.8) 3.2 - 3.7 (3.9) µm
Q = (1.8) 1.9 - 2.4 (2.5) ; N = 30
Me = 7.4 × 3.4 µm ; Qe = 2.2
Para terminar con los hongos una Antrodia, llevo muchos años estudiando a la que aparece por la zona y aún disponiendo de los datos moleculares, a día de hoy no tengo del todo clara su identidad, aunque todo apunta a la Antrodia pulvinascens, actualmente denominada como Fomitopsis pulvinascens:
Superficie poroide a 20 aumentos:
Las hifas subiculares en solución de Rojo Congo:
Las hifas subiculares en solución de KOH:
Las hifas subiculares en Reactivo de Melzer:
Siempre me ha costado dentro del género Antrodia el poder observar claramente las fíbulas en sus hifas generativas, añado unas imágenes de estas fíbulas en Reactivo de Melzer:
Una hifa fibulada y los basidios en solución de KOH:
Los basidios en solución de Rojo Congo, estos basidios con unas medidas de (11.1) 11.4 - 15.1 (16.7) × (4.7) 5 - 5.8 (5.9) µm:
Las esporas en Reactivo de Melzer, inamiloides:
Y las esporas en agua:
Estas esporas obtenidas por esporulación natural y en agua con unas medidas de:
(6.2) 6.5 - 7.6 (8.1) × (2.4) 2.7 - 3.3 (3.6) µm
Q = (2.1) 2.2 - 2.67 (2.7) ; N = 30
Me = 7.1 × 3 µm ; Qe = 2.4
Añado a continuación el árbol filogenético:
En el árbol, mi Antrodia, la Antrodia JTP 2405/25 se encuentra muy cerca a nivel molecular tanto a la Antrodia pulvinascens = Fomitopsis pulvinascens como con la Antrodia hyalina = Fomitopsis hyalina, teniendo en cuenta que las dos secuencias dentro del recuadro, la JQ700285.1 y la JQ700284.1 que aparecen como Antrodia sp., actualmente su nombre científico sería el de Fomitopsis hyalina.
Aquí es cuando ya busco información dentro del trabajo de Ryvarden de 2017, las medidas de los basidios de mi propuesta encajan mejor con las indicadas por Ryvarden para la Antrodia hyalina a la que otorga unas medidas para sus basidios de 11 -20 x 4.5-6 μm, muy cerca de mis mediciones de (11.1) 11.4 - 15.1 (16.7) × (4.7) 5 - 5.8 (5.9) μm., y un poco alejadas de las medidas que el mismo autor cita para los basidios de la Antrodia pulvinascens, con unas medidas de 19-27 x 5-7 μm, no obstante las medidas esporales de mi propuesta de (6.2) 6.5 - 7.6 (8.1) × (2.4) 2.7 - 3.3 (3.6) µm., se encuentran más cerca de las indicadas por Ryvarden para la Antrodia pulvinascens de 6-8 x 2.5-3.2 μm, y un poco alejadas de las indicadas por el mismo autor para la Antrodia hyalina a la que otorga unas medidas esporales de 5-9 x 2-3 μm, con un cociente Q muy por encima de mi propuesta.
Para relajar un poco el tema añado unas imágenes de la fauna que pude ver el mismo día, por un lado la babosa leopardo ( Limax maximus).
Y por otro el siempre desafiante y amenazante cangrejo invasor de Louisiana, que está acabando con los cangrejos autóctonos, el Procambus clarkii:
Saludos.
Por favor, Identificarse o Crear cuenta para unirse a la conversación.
- Foro
- Foros sobre Micología de fungipedia
- Microscopía
- Otros tantos de la recogida de muestras del 17 de septiembre.
Tiempo de carga de la página: 0.625 segundos



Foro de micología