- Foro
- Foros sobre Micología de fungipedia
- Microscopía
- Jaca 2023: (9) Cortinarius infractus (Pers.) Fr.
Jaca 2023: (9) Cortinarius infractus (Pers.) Fr.
2 años 5 meses antes #109239
por JOSEP
Jaca 2023: (9) Cortinarius infractus (Pers.) Fr. Publicado por JOSEP
Hola a tod@s.
Generalmente no suelo hacer caso a los Cortinarius, si hago una excepción es porqué a este me lo identificaron ya a pie de campo.
Agradecer a Juan Antonio Sánchez, que me la identificara y que me ofreciera unos ejemplares para su estudio.
Cortinarius infractus (Pers.) Fr.
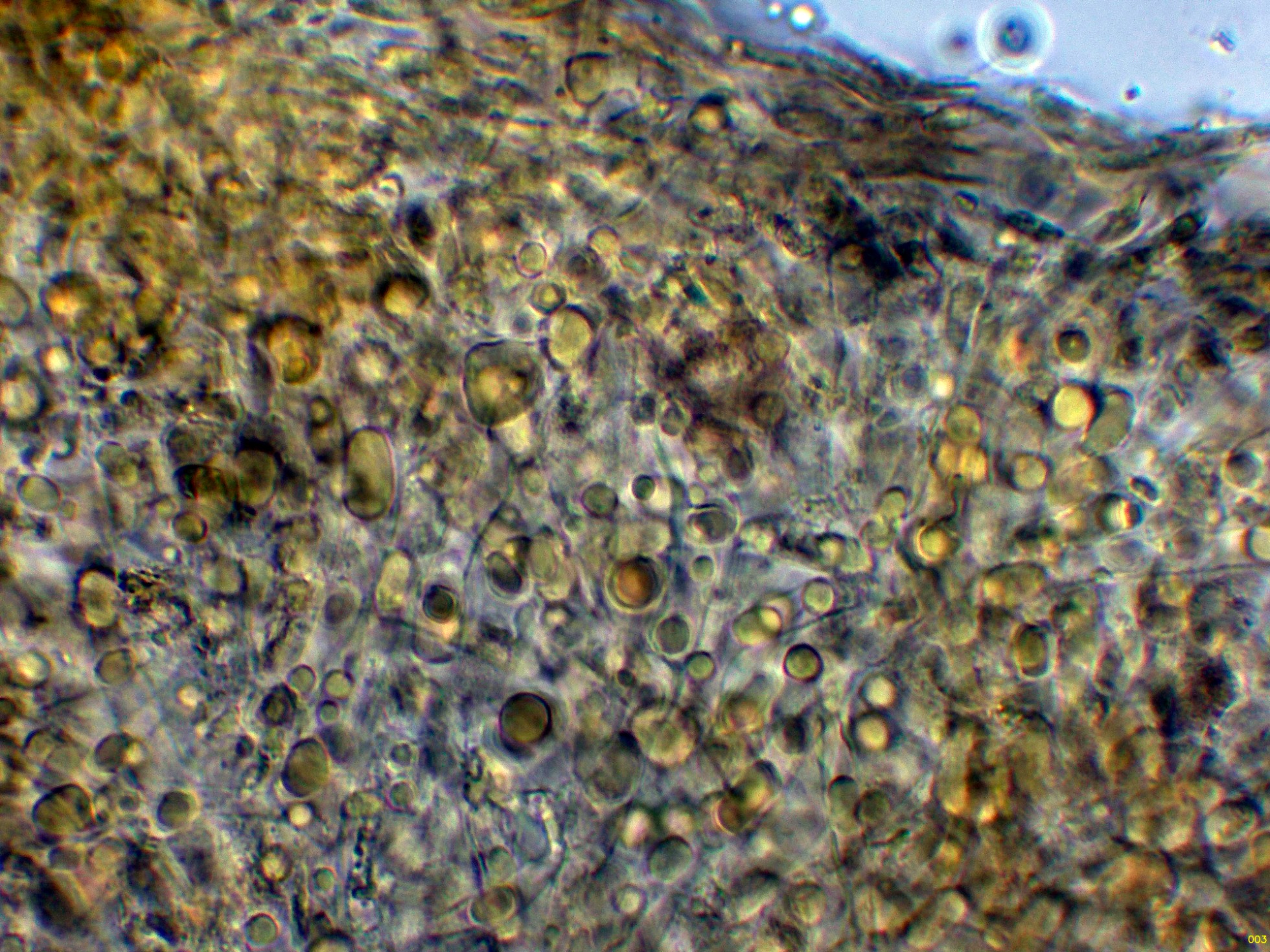
Suprapellis filamentosa con hifas fuertemente pigmentadas.
Arista laminar sin elementos diferenciados de los basidios o basidiolos.
Esporas con reacción dextrinoide al Melzer.
Y por último las esporas obtenidas por esporulación natural y en agua.
Estas esporas con un tamaño relativamente pequeño teniendo en cuenta el género, con unas medidas en agua de:
(6.7) 7.1 - 7.9 (8.6) × (5.3) 5.7 - 6.4 (7.1) µm
Q = (1) 1.1 - 1.3 (1.5) ; N = 36
Me = 7.4 × 6.1 µm ; Qe = 1.2
Saludos a tod@s.
Generalmente no suelo hacer caso a los Cortinarius, si hago una excepción es porqué a este me lo identificaron ya a pie de campo.
Agradecer a Juan Antonio Sánchez, que me la identificara y que me ofreciera unos ejemplares para su estudio.
Cortinarius infractus (Pers.) Fr.
Suprapellis filamentosa con hifas fuertemente pigmentadas.
Arista laminar sin elementos diferenciados de los basidios o basidiolos.
Esporas con reacción dextrinoide al Melzer.
Y por último las esporas obtenidas por esporulación natural y en agua.
Estas esporas con un tamaño relativamente pequeño teniendo en cuenta el género, con unas medidas en agua de:
(6.7) 7.1 - 7.9 (8.6) × (5.3) 5.7 - 6.4 (7.1) µm
Q = (1) 1.1 - 1.3 (1.5) ; N = 36
Me = 7.4 × 6.1 µm ; Qe = 1.2
Saludos a tod@s.
Adjuntos:
El siguiente usuario dijo gracias: Juan Andrés Román, Juan
Por favor, Identificarse o Crear cuenta para unirse a la conversación.
- Juan
-
- Fuera de línea
- Moderador
-
Menos
Más
- Mensajes: 553
- Gracias recibidas: 608
2 años 3 meses antes #109413
por Juan
Respuesta de Juan sobre el tema Jaca 2023: (9) Cortinarius infractus (Pers.) Fr.
Ejemplares difíciles los cortinarius, supuestamente esta variante que mencionas tiene la peculiaridad de tener un pie bien cilíndrico de color mas claro que el sombrero pero con tonos que varían del violeta al marrón. Saludos!
El siguiente usuario dijo gracias: JOSEP
Por favor, Identificarse o Crear cuenta para unirse a la conversación.
- Foro
- Foros sobre Micología de fungipedia
- Microscopía
- Jaca 2023: (9) Cortinarius infractus (Pers.) Fr.
Tiempo de carga de la página: 0.159 segundos



Foro de micología